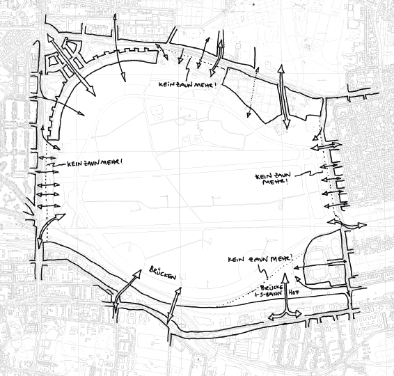
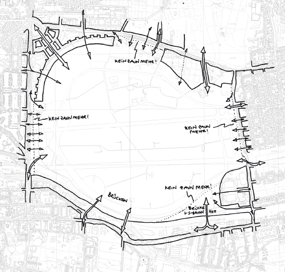
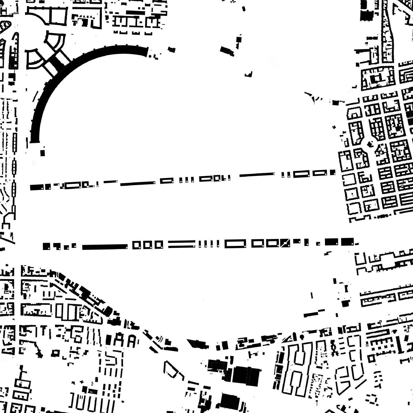
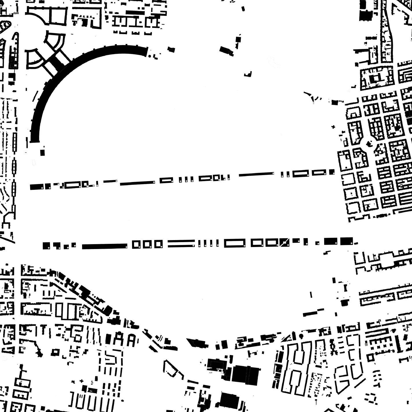
Digitale Ausstellung

Mehr als 160 Entwürfe wurden beim internationalen Ideenwettbewerb zum Tempelhofer Feld eingereicht, 20 davon nahmen an der zweiten Phase teil. Zum Abschluss wurden sechs Entwürfe als gleichwertige Preisträger ausgewählt und drei weitere mit einer Anerkennung ausgezeichnet. In der digitalen Ausstellung sind alle Entwürfe des Wettbewerbs abgebildet.

Sammlung der Entwürfe

Diese virtuelle Galerie präsentiert alle Beiträge, die im Rahmen des von der Senatsverwaltung für Stadtentwicklung, Bauen und Wohnen ausgelobten, internationalen stadt- und freiraumplanerischen Ideenwettbewerbs zum Tempelhofer Feld eingereicht wurden. Vielfalt und Kreativität der Einsendungen spiegeln das Engagement und die Begeisterung der Wettbewerbsteilnehmenden wider. Sie sind herzlich eingeladen, durch die Ausstellung zu stöbern und sich selbst ein Bild von der Ideenvielfalt zu machen.

Preisgruppe

Diese Kategorie zeigt die von dem Preisgericht ausgezeichneten sechs Entwürfe der Preisgruppe. Sie wurden aufgrund ihrer besonderen Qualität und Originalität prämiert. Die Arbeiten setzen herausragende gestalterische und inhaltliche Akzente und geben wichtige Impulse für die weitere Debatte über die Entwicklung des Tempelhofer Feldes.

  • Seilziehn
    Teaser-Bild: Seilziehn
  • Tempelhofer Atem
    Teaser-Bild: Tempelhofer Atem
  • Bestand stärken, Vielfalt fördern
    Teaser-Bild: Bestand stärken, Vielfalt fördern
  • Build it Green!
    Teaser-Bild: Build it Green!
  • Stadtlichtung
    Teaser-Bild: Stadtlichtung
  • übe-räume für stadttrans- formation
    Teaser-Bild: übe-räume für stadttrans- formation

Anerkennungen

Diese Kategorie zeigt die von dem Preisgericht ausgezeichneten drei Anerkennungen. Die drei Beiträge wurden zwar nicht als Preisträger ausgewählt, zeigten jedoch besondere Lösungsansätze, weswegen sie durch das Preisgericht mit einer Anerkennung gewürdigt wurden.

  • Feld bleibt Feld, Autobahn wird Stadt
    Teaser-Bild: Feld bleibt Feld, Autobahn wird Stadt
  • Unprogrammed Space
    Teaser-Bild: Unprogrammed Space
  • Eine Zukunft, die aus Freiräumen wächst
    Teaser-Bild: Eine Zukunft, die aus Freiräumen wächst

Weitere Entwürfe der 2. Phase

Die hier gezeigten Beiträge stammen aus der 2. Phase des Ideenwettbewerbs. Sie wurden in der 1. Phase als besonders vielversprechende Konzepte ausgewählt und im Zuge der 2. Phase weiter vertieft. Die final prämierten Arbeiten finden Sie weiter oben in den Kategorien Preisgruppe und Anerkennungen.

  • Beitrag 1122
    Teaser-Bild: Beitrag 1122
  • Beitrag 1123
    Teaser-Bild: Beitrag 1123
  • Beitrag 1125
    Teaser-Bild: Beitrag 1125
  • Beitrag 1126
    Teaser-Bild: Beitrag 1126
  • Beitrag 1127
    Teaser-Bild: Beitrag 1127
  • Beitrag 1128
    Teaser-Bild: Beitrag 1128
  • Beitrag 1129
    Teaser-Bild: Beitrag 1129
  • Beitrag 1130
    Teaser-Bild: Beitrag 1130
  • Beitrag 1136
    Teaser-Bild: Beitrag 1136
  • Beitrag 1138
    Teaser-Bild: Beitrag 1138
  • Beitrag 1139
    Teaser-Bild: Beitrag 1139

Entwürfe der 1. Phase des Ideenwettbewerbs

In dieser 1. Phase des Ideenwettbewerbs wurden kreative Grundideen und Visionen gesammelt. Die Vielfalt der 164 eingereichten Entwürfe bildete die Grundlage für die Auswahl der Entwürfe der 2. Phase des Ideenwettbewerbs und gibt einen spannenden Einblick in die breite Palette an Herangehensweisen und Denkrichtungen der Wettbewerbsteilnehmenden.

  • Beitrag 1224
    Teaser-Bild: Beitrag 1224
  • Beitrag 1225
    Teaser-Bild: Beitrag 1225
  • Beitrag 1226
    Teaser-Bild: Beitrag 1226
  • Beitrag 1227
    Teaser-Bild: Beitrag 1227
  • Beitrag 1228
    Teaser-Bild: Beitrag 1228
  • Beitrag 1229
    Teaser-Bild: Beitrag 1229
  • Beitrag 1230
    Teaser-Bild: Beitrag 1230
  • Beitrag 1231
    Teaser-Bild: Beitrag 1231
  • Beitrag 1232
    Teaser-Bild: Beitrag 1232
  • Beitrag 1233
    Teaser-Bild: Beitrag 1233
  • Beitrag 1234
    Teaser-Bild: Beitrag 1234
  • Beitrag 1235
    Teaser-Bild: Beitrag 1235
  • Beitrag 1236
    Teaser-Bild: Beitrag 1236
  • Beitrag 1237
    Teaser-Bild: Beitrag 1237
  • Beitrag 1238
    Teaser-Bild: Beitrag 1238
  • Beitrag 1239 [ausgewählt]
    Teaser-Bild: Beitrag 1239 [ausgewählt]
  • Beitrag 1240
    Teaser-Bild: Beitrag 1240
  • Beitrag 1241
    Teaser-Bild: Beitrag 1241
  • Beitrag 1242 [ausgewählt]
    Teaser-Bild: Beitrag 1242 [ausgewählt]
  • Beitrag 1243
    Teaser-Bild: Beitrag 1243
  • Beitrag 1244 [ausgewählt]
    Teaser-Bild: Beitrag 1244 [ausgewählt]
  • Beitrag 1245
    Teaser-Bild: Beitrag 1245
  • Beitrag 1246
    Teaser-Bild: Beitrag 1246
  • Beitrag 1247
    Teaser-Bild: Beitrag 1247
  • Beitrag 1248
    Teaser-Bild: Beitrag 1248
  • Beitrag 1249
    Teaser-Bild: Beitrag 1249
  • Beitrag 1250
    Teaser-Bild: Beitrag 1250
  • Beitrag 1251
    Teaser-Bild: Beitrag 1251
  • Beitrag 1252
    Teaser-Bild: Beitrag 1252
  • Beitrag 1253 [ausgewählt]
    Teaser-Bild: Beitrag 1253 [ausgewählt]
  • Beitrag 1254
    Teaser-Bild: Beitrag 1254
  • Beitrag 1255 [ausgewählt]
    Teaser-Bild: Beitrag 1255 [ausgewählt]
  • Beitrag 1256
    Teaser-Bild: Beitrag 1256
  • Beitrag 1257
    Teaser-Bild: Beitrag 1257
  • Beitrag 1258
    Teaser-Bild: Beitrag 1258
  • Beitrag 1259 [ausgewählt]
    Teaser-Bild: Beitrag 1259 [ausgewählt]
  • Beitrag 1260
    Teaser-Bild: Beitrag 1260
  • Beitrag 1261
    Teaser-Bild: Beitrag 1261
  • Beitrag 1262 [ausgewählt]
    Teaser-Bild: Beitrag 1262 [ausgewählt]
  • Beitrag 1263
    Teaser-Bild: Beitrag 1263
  • Beitrag 1264
    Teaser-Bild: Beitrag 1264
  • Beitrag 1265
    Teaser-Bild: Beitrag 1265
  • Beitrag 1266
    Teaser-Bild: Beitrag 1266
  • Beitrag 1267
    Teaser-Bild: Beitrag 1267
  • Beitrag 1268
    Teaser-Bild: Beitrag 1268
  • Beitrag 1269
    Teaser-Bild: Beitrag 1269
  • Beitrag 1270
    Teaser-Bild: Beitrag 1270
  • Beitrag 1271
    Teaser-Bild: Beitrag 1271
  • Beitrag 1272
    Teaser-Bild: Beitrag 1272
  • Beitrag 1273
    Teaser-Bild: Beitrag 1273
  • Beitrag 1274 [ausgewählt]
    Teaser-Bild: Beitrag 1274 [ausgewählt]
  • Beitrag 1275
    Teaser-Bild: Beitrag 1275
  • Beitrag 1276 [ausgewählt]
    Teaser-Bild: Beitrag 1276 [ausgewählt]
  • Beitrag 1277
    Teaser-Bild: Beitrag 1277
  • Beitrag 1278
    Teaser-Bild: Beitrag 1278
  • Beitrag 1279
    Teaser-Bild: Beitrag 1279
  • Beitrag 1280
    Teaser-Bild: Beitrag 1280
  • Beitrag 1281
    Teaser-Bild: Beitrag 1281
  • Beitrag 1282
    Teaser-Bild: Beitrag 1282
  • Beitrag 1283
    Teaser-Bild: Beitrag 1283
  • Beitrag 1284
    Teaser-Bild: Beitrag 1284
  • Beitrag 1285
    Teaser-Bild: Beitrag 1285
  • Beitrag 1286
    Teaser-Bild: Beitrag 1286
  • Beitrag 1287
    Teaser-Bild: Beitrag 1287
  • Beitrag 1288
    Teaser-Bild: Beitrag 1288
  • Beitrag 1289
    Teaser-Bild: Beitrag 1289
  • Beitrag 1290
    Teaser-Bild: Beitrag 1290
  • Beitrag 1291
    Teaser-Bild: Beitrag 1291
  • Beitrag 1292
    Teaser-Bild: Beitrag 1292
  • Beitrag 1293
    Teaser-Bild: Beitrag 1293
  • Beitrag 1294
    Teaser-Bild: Beitrag 1294
  • Beitrag 1295
    Teaser-Bild: Beitrag 1295
  • Beitrag 1296 [ausgewählt]
    Teaser-Bild: Beitrag 1296 [ausgewählt]
  • Beitrag 1297 [ausgewählt]
    Teaser-Bild: Beitrag 1297 [ausgewählt]
  • Beitrag 1298
    Teaser-Bild: Beitrag 1298
  • Beitrag 1299
    Teaser-Bild: Beitrag 1299
  • Beitrag 1300 [ausgewählt]
    Teaser-Bild: Beitrag 1300 [ausgewählt]
  • Beitrag 1301
    Teaser-Bild: Beitrag 1301
  • Beitrag 1302
    Teaser-Bild: Beitrag 1302
  • Beitrag 1303
    Teaser-Bild: Beitrag 1303
  • Beitrag 1304
    Teaser-Bild: Beitrag 1304
  • Beitrag 1305
    Teaser-Bild: Beitrag 1305
  • Beitrag 1306
    Teaser-Bild: Beitrag 1306
  • Beitrag 1307
    Teaser-Bild: Beitrag 1307
  • Beitrag 1308 [ausgewählt]
    Teaser-Bild: Beitrag 1308 [ausgewählt]
  • Beitrag 1309
    Teaser-Bild: Beitrag 1309
  • Beitrag 1310
    Teaser-Bild: Beitrag 1310
  • Beitrag 1311
    Teaser-Bild: Beitrag 1311
  • Beitrag 1312
    Teaser-Bild: Beitrag 1312
  • Beitrag 1313
    Teaser-Bild: Beitrag 1313
  • Beitrag 1314
    Teaser-Bild: Beitrag 1314
  • Beitrag 1315
    Teaser-Bild: Beitrag 1315
  • Beitrag 1316
    Teaser-Bild: Beitrag 1316
  • Beitrag 1317 [ausgewählt]
    Teaser-Bild: Beitrag 1317 [ausgewählt]
  • Beitrag 1318
    Teaser-Bild: Beitrag 1318
  • Beitrag 1319
    Teaser-Bild: Beitrag 1319
  • Beitrag 1320
    Teaser-Bild: Beitrag 1320
  • Beitrag 1321
    Teaser-Bild: Beitrag 1321
  • Beitrag 1322
    Teaser-Bild: Beitrag 1322
  • Beitrag 1323
    Teaser-Bild: Beitrag 1323
  • Beitrag 1324
    Teaser-Bild: Beitrag 1324
  • Beitrag 1325
    Teaser-Bild: Beitrag 1325
  • Beitrag 1326
    Teaser-Bild: Beitrag 1326
  • Beitrag 1327 [ausgewählt]
    Teaser-Bild: Beitrag 1327 [ausgewählt]
  • Beitrag 1328
    Teaser-Bild: Beitrag 1328
  • Beitrag 1329
    Teaser-Bild: Beitrag 1329
  • Beitrag 1330
    Teaser-Bild: Beitrag 1330
  • Beitrag 1331
    Teaser-Bild: Beitrag 1331
  • Beitrag 1332
    Teaser-Bild: Beitrag 1332
  • Beitrag 1333
    Teaser-Bild: Beitrag 1333
  • Beitrag 1334 [ausgewählt]
    Teaser-Bild: Beitrag 1334 [ausgewählt]
  • Beitrag 1335
    Teaser-Bild: Beitrag 1335
  • Beitrag 1336
    Teaser-Bild: Beitrag 1336
  • Beitrag 1337
    Teaser-Bild: Beitrag 1337
  • Beitrag 1338
    Teaser-Bild: Beitrag 1338
  • Beitrag 1339
    Teaser-Bild: Beitrag 1339
  • Beitrag 1340
    Teaser-Bild: Beitrag 1340
  • Beitrag 1341
    Teaser-Bild: Beitrag 1341
  • Beitrag 1342
    Teaser-Bild: Beitrag 1342
  • Beitrag 1343
    Teaser-Bild: Beitrag 1343
  • Beitrag 1344
    Teaser-Bild: Beitrag 1344
  • Beitrag 1345
    Teaser-Bild: Beitrag 1345
  • Beitrag 1346
    Teaser-Bild: Beitrag 1346
  • Beitrag 1347
    Teaser-Bild: Beitrag 1347
  • Beitrag 1348 [ausgewählt]
    Teaser-Bild: Beitrag 1348 [ausgewählt]
  • Beitrag 1349
    Teaser-Bild: Beitrag 1349
  • Beitrag 1350
    Teaser-Bild: Beitrag 1350
  • Beitrag 1351
    Teaser-Bild: Beitrag 1351
  • Beitrag 1352
    Teaser-Bild: Beitrag 1352
  • Beitrag 1353
    Teaser-Bild: Beitrag 1353
  • Beitrag 1354 [ausgewählt]
    Teaser-Bild: Beitrag 1354 [ausgewählt]
  • Beitrag 1355
    Teaser-Bild: Beitrag 1355
  • Beitrag 1356
    Teaser-Bild: Beitrag 1356
  • Beitrag 1357
    Teaser-Bild: Beitrag 1357
  • Beitrag 1358
    Teaser-Bild: Beitrag 1358
  • Beitrag 1359
    Teaser-Bild: Beitrag 1359
  • Beitrag 1360
    Teaser-Bild: Beitrag 1360
  • Beitrag 1361
    Teaser-Bild: Beitrag 1361
  • Beitrag 1362
    Teaser-Bild: Beitrag 1362
  • Beitrag 1363 [ausgewählt]
    Teaser-Bild: Beitrag 1363 [ausgewählt]
  • Beitrag 1364
    Teaser-Bild: Beitrag 1364
  • Beitrag 1365
    Teaser-Bild: Beitrag 1365
  • Beitrag 1366
    Teaser-Bild: Beitrag 1366
  • Beitrag 1367
    Teaser-Bild: Beitrag 1367
  • Beitrag 1368
    Teaser-Bild: Beitrag 1368
  • Beitrag 1369
    Teaser-Bild: Beitrag 1369
  • Beitrag 1370
    Teaser-Bild: Beitrag 1370
  • Beitrag 1371
    Teaser-Bild: Beitrag 1371
  • Beitrag 1372 [ausgewählt]
    Teaser-Bild: Beitrag 1372 [ausgewählt]
  • Beitrag 1373
    Teaser-Bild: Beitrag 1373
  • Beitrag 1374
    Teaser-Bild: Beitrag 1374
  • Beitrag 1375
    Teaser-Bild: Beitrag 1375
  • Beitrag 1376
    Teaser-Bild: Beitrag 1376
  • Beitrag 1377
    Teaser-Bild: Beitrag 1377
  • Beitrag 1378
    Teaser-Bild: Beitrag 1378
  • Beitrag 1379
    Teaser-Bild: Beitrag 1379
  • Beitrag 1380
    Teaser-Bild: Beitrag 1380
  • Beitrag 1381
    Teaser-Bild: Beitrag 1381
  • Beitrag 1382
    Teaser-Bild: Beitrag 1382
  • Beitrag 1383
    Teaser-Bild: Beitrag 1383
  • Beitrag 1384
    Teaser-Bild: Beitrag 1384
  • Beitrag 1385
    Teaser-Bild: Beitrag 1385
  • Beitrag 1386
    Teaser-Bild: Beitrag 1386
  • Beitrag 1387
    Teaser-Bild: Beitrag 1387

Beitrag vom 03.09.2025Dieses Werk ist lizenziert unter CC BY-ND 4.0

Zurück zur Übersicht